Skip to main content
The Imperiia Project: Map Gallery Site
Search using this query type:
Keyword
Boolean
Exact match
Search only these record types:
Item
File
Collection
Exhibit
Exhibit Page
Neatline Record
Simple Page
Advanced Search (Items only)
Town Plans, Vladimir Province
Plan of the provincial capital Vladimir
Plan of the town of Alexandrov, Vladimir Province
Plan of the town of Gorokhovets, Vladimir Province
Plan of the town of Kirzhach, Vladimir Province
Plan of the town of Kovrov, Vladimir Province
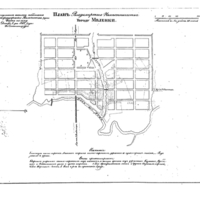
Plan of the town of Melenki, Vladimir Province
Plan of the town of Murom, Vladimir Province
Plan of the town of Pereslavl Zaleskii, Vladimir Province
Plan of the town of Pokrov, Vladimir Province
Plan of the town of Shuia, Vladimir Province
Plan of the town of Sudogda, Vladimir Province
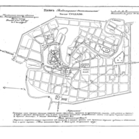
Plan of the town of Suzdal, Vladimir Province
Plan of the town of Viazniki, Vladimir Province
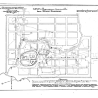
Plan of the town of Yurev-Polskii, Vladimir Province
View items in the Town Plans, Vladimir Province Collection
Collection Tree
Town Plans, Vladimir Province
IIIF Manifest
Top
» Town Plans, Vladimir Province
Manifest URL
https://imperiia.omeka.fas.harvard.edu/oa/collections/49/manifest.json