Skip to main content
The Imperiia Project: Map Gallery Site
Search using this query type:
Keyword
Boolean
Exact match
Search only these record types:
Item
File
Collection
Exhibit
Exhibit Page
Neatline Record
Simple Page
Advanced Search (Items only)
Town Plans, Orenburg Province
Plan of the town of Ufa, Orenburg Province
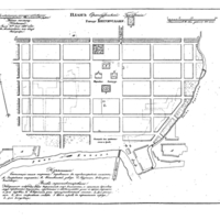
Plan of the town of Buguruslan, Orenburg Province
Collection Tree
Town Plans, Orenburg Province
IIIF Manifest
Top
» Town Plans, Orenburg Province
Manifest URL
https://imperiia.omeka.fas.harvard.edu/oa/collections/66/manifest.json