Skip to main content
The Imperiia Project: Map Gallery Site
Search using this query type:
Keyword
Boolean
Exact match
Search only these record types:
Item
File
Collection
Exhibit
Exhibit Page
Neatline Record
Simple Page
Advanced Search (Items only)
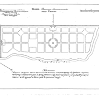
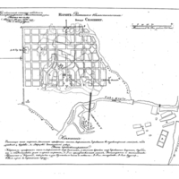
Town Plans, Riazan Province
Plan of the provincial capital Riazan
Plan of the town of Dankov, Riazan Province
Plan of the town of Egor'evsk, Riazan Province
Plan of the town of Kasimov, Riazan Province
Plan of the town of Mikhailov, Riazan Province
Plan of the town of Pronsk, Riazan Province
Plan of the town of Ranenburg, Riazan Province
Plan of the town of Riazhsk, Riazan Province
Plan of the town of Sapazhok, Riazan Province
Plan of the town of Skopin, Riazan Province
Plan of the town of Spask, Riazan Province
View items in the Town Plans, Riazan Province Collection
Collection Tree
Town Plans, Riazan Province
IIIF Manifest
Top
» Town Plans, Riazan Province
Manifest URL
https://imperiia.omeka.fas.harvard.edu/oa/collections/74/manifest.json