Town Plans, Tver Province
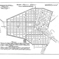
Plan of the town of Korcheva, Tver Province
Korcheva no longer exists. In 1936, its residents were relocated; in 1937, the town was submerged as part of the construction of the Ivankovo Reservoir.
Collection Tree
- Town Plans, Tver Province
IIIF Manifest
Top » Town Plans, Tver Province